Free account required
12
Free account required
$99,900 Sale
Listed 4 hours ago
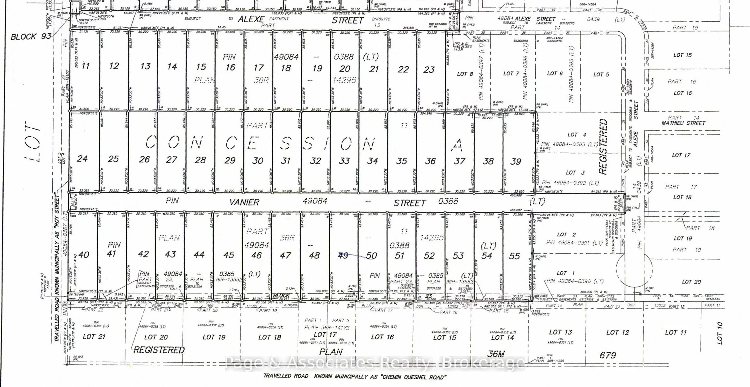
38 Vanier Street
· 0
· 0
· -
· -
Listing History
Buy/Sell/Terminated/Expired listing history for 38 Vanier Street
Key Facts
Key facts for 38 Vanier Street
Property Type
Lots/Land
Parking
-
MLS #
X12489816
Size
-
Basement
-
Listed on
2025-10-29
Lot size
99 x 305.87
Tax
$579.35 /yr
Days on Market
1
Approximate Age
-
Maintenance Fee
-
Description
38 Vanier Street (Sturgeon Falls) - Now presenting a fantastic opportunity to build your dream home or invest in land in a newly developed subdivision. This spacious lot includes double serviced municipal water and sewer allowing for semi-detached construction, along with natural gas available. Zone...d R2, the property allows for versatile building options including duplexes, modular homes, or single-family residences perfect for growing families or those looking to retire in comfort. The subdivision is registered, closings any time. Visitors are welcome to drive on the road to see the well-marked lots to explore the neighbourhood. Don't miss your chance to be part of this promising and thoughtfully planned community in Sturgeon Falls. Listed at $99,900 + HST.
Similar Properties (No results)
Courtesy of: Page & Associates Realty, Brokerage